10月29日,上海市民享受着晴朗的天气。这一天气现象主要归功于地面高气压的作用。在清晨,气温开始下降,全市大部分地区的最低气温在10℃至13℃之间,徐家汇站的气温更是达到了14.6℃。白天,气温适宜,给人带来舒适感,预计最高气温将达到21℃。然而,需要注意的是,目前的宁静可能只是暴风雨来临前的短暂平静。
今日上海天气晴好的状态
今日,上海天气格外宜人,阳光明媚。市民们纷纷走出家门,络绎不绝地沉浸在宁静与美好的氛围中。尽管清晨气温略低,但并未减退人们外出的积极性。对于上班族和晨练爱好者来说,这样的气候条件再适宜不过。街头的水果摊贩也趁机摆出了新鲜水果。据气象部门数据,这种晴朗天气是由于地面高气压所致。然而,这样的好天气能维持多久,仍是一个值得关注的问题。
10月30日,周三,上海上空云层较多,气温介于15℃至22℃之间,天气状况总体适宜。在此气候条件下,市民们能够自如地进行各种户外活动。

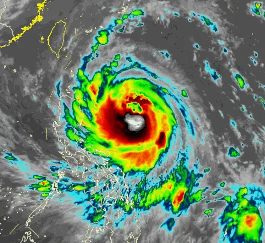
第21号台风康妮的动态

今年第21号台风“康妮”今日上午已升级为台风级。据观测数据,台风在上午8时位于台岛省台东市东南方约860公里的西北太平洋洋面上。其移动速度约为每小时15至20公里,正朝西北方向移动。同时,台风的强度持续增强,预计有可能升级为超强台风。鉴于台风的持续增强,海上形势变得十分严峻,周边地区必须保持高度警惕。
气象部门指出,鉴于当前海洋环境等众多因素,“康妮”的移动路径存在一定的不确定性。其后续的移动速度与强度增长,将受到不同天气系统综合作用的显著影响。
康妮可能的登陆地点和路径

“康妮”预计将在31日中午至傍晚期间登陆台湾岛南部或中部区域,随后将沿闽浙沿海一带向北移动,其强度将明显下降。然而,由于副热带高压和冷空气等天气系统之间复杂的相互作用,其后续移动路径仍存在较大不确定性。一种可能情况是,其轨迹可能绕过台湾岛南端,进入南海北部海域,并逐渐接近福建南部沿海。这种路径的多样性给多个地区的防范工作带来了较大的挑战。
沿海地区居民,尤其是台湾岛及福建沿海地区的居民及相关部门,对此次路径的不确定性变化表现出高度关注。这一变化的主要影响在于,不同路径的选择将直接引发受影响区域及程度的显著差异。
上海受康妮影响后的天气状况
自周四(31日)下午起,上海地区将受“康妮”北侧倒槽影响,阵雨陆续出现。傍晚时分,雨势将增强,部分区域可能出现大雨或暴雨。从周五至周六上午,若情况如预期发展,“康妮”北侧环流与南下的冷空气将交汇,上海将面临暴雨风险,局部地区可能遭受大暴雨。即便“康妮”路径转向南海北部,周五上海仍将遭遇明显降水,主要集中在东部和南部郊区。
即将到来的降雨天气对上海市政部门提出了紧急要求,该部门需提前对排水系统进行全面检查,并实施必要的疏通措施。同时,广大市民也需提前做好应对雨天的各项准备,并尽量减少非必要的户外活动。

上海风力受康妮影响的变化
自周四傍晚起,上海多数区域受到了6至7级阵风的侵袭,其中高层建筑和江海沿岸地区风速更是高达7至8级。进入星期五,风力持续增强,阵风级别上升至7至8级,而在高层建筑及江海沿岸地区,风速更是升至9级。至星期六下午,风力逐渐减弱。此次风力变化对城市建筑及市民出行安全产生了影响。
建筑行业在遭遇强风时,必须暂停高空作业,以保障施工人员的安全。同时,船舶运输等关联行业亦需采取切实可行的防风措施,防止强风天气可能引发的意外安全事故。
应对天气变化的提醒
环流状况复杂多变,这一情况直接导致了台风“康妮”移动路径的持续变化。气象部门提醒公众需密切关注最新预报和预警信息,以确保日常生活与出行得到妥善安排。预警信息一旦发布,市民应严格遵循相关指示,采取必要的防护措施。
当前天气状况多变,请问您是否已做好充分应对?我们诚挚希望读者们能积极为本文点赞与转发。同时,我们也殷切期待您在评论区分享您的应对方法。